
ประกาศกรมอุตุฯฉบับ 6 พายุไต้ฝุ่นหยินซิ่ง
กรมอุตุนิยมวิทยา ประกาศฉบับที่ 6 พายุไต้ฝุ่นหยินซิ่ง คาดเข้าใกล้ชายฝั่งเวียดนามวันที่ 11-12 พ.ย.67 เตือนคนไทยเดินทางพื้นที่เสี่ยงตรวจสอบสภาพอากาศก่อนบิน
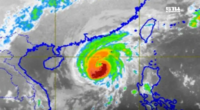
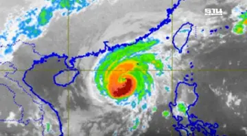
กรมอุตุนิยมวิทยา ประกาศ เรื่อง พายุหยินซิ่ง ฉบับที่ 6 เมื่อเวลา 11.00 น. ของวันนี้ (9 พ.ย. 2567) พายุไต้ฝุ่น "หยินซิ่ง" บริเวณทะเลจีนใต้ตอนบน โดยมีศูนย์กลางอยู่ห่างประมาณ 370 กิโลเมตรทางทิศตะวันออกของเกาะไหหลำ ประเทศจีน หรือที่ละติจูด 18.9 องศาเหนือ ลองจิจูด 114.5 องศาตะวันออก มีความเร็วลมสูงสุดใกล้ศูนย์กลางประมาณ 148 กิโลเมตรต่อชั่วโมง พายุ นี้กำลังเคลื่อนตัวทางทิศตะวันตก ด้วยความเร็วประมาณ 15 กิโลเมตรต่อชั่วโมง
คาดว่าจะเคลื่อนเข้าใกล้ตอนใต้ของเกาะไหหลำ ประเทศจีน และชายฝั่งประเทศเวียดนามตอนกลางในช่วงวันที่ 11-12 พ.ย. 2567 และจะอ่อนกำลังลงเป็นพายุโซนร้อน พายุดีเปรสชัน และหย่อมความกดอากาศต่ำกำลังแรงตามลำดับ โดยพายุนี้ไม่เคลื่อนเข้าสู่ประเทศไทย ขอให้ผู้ที่จะเดินทางไปบริเวณดังกล่าวตรวจสอบสภาพอากาศก่อนออกเดินทางในช่วงวันดังกล่าวไว้ด้วย
อนึ่ง ในช่วงวันที่ 9-11 พ.ย. 2567 ร่องมรสุมพาดผ่านภาคใต้ตอนล่าง และประเทศมาเลเซีย ประกอบกับมรสุมตะวันออกเฉียงเหนือกำลังปานกลางพัดปกคลุมอ่าวไทยตอนบน และภาคใต้ตอนบน ลักษณะเช่นนี้ทำให้บริเวณภาคใต้มีฝนตกหนักถึงหนักมากบางแห่ง ขอให้ประชาชนในบริเวณดังกล่าวระวังอันตรายจากฝนตกหนักถึงหนักมาก และฝนที่ตกสะสม ซึ่งอาจทำให้เกิดน้ำท่วมฉับพลันและน้ำป่าไหลหลาก โดยเฉพาะพื้นที่ลาดเชิงเขาใกล้ทางน้ำไหลผ่านและพื้นที่ลุ่มไว้ด้วย
จึงขอให้ประชาชนติดตามประกาศจากกรมอุตุนิยมวิทยา และสามารถติดตามข้อมูลที่เว็บไซต์กรมอุตุนิยมวิทยา http://www.tmd.go.th หรือที่ 0-2399-4012-13 และ 1182 ได้ตลอด 24 ชั่วโมง


